蚌埠新城吾悦广场规划公示出炉,8万方商业综合体曝光!
扫描到手机,新闻随时看
扫一扫,用手机看文章
更加方便分享给朋友
刚刚蚌埠城乡规划局公布了蚌埠吾悦和府和蚌埠吾悦广场的规划图。





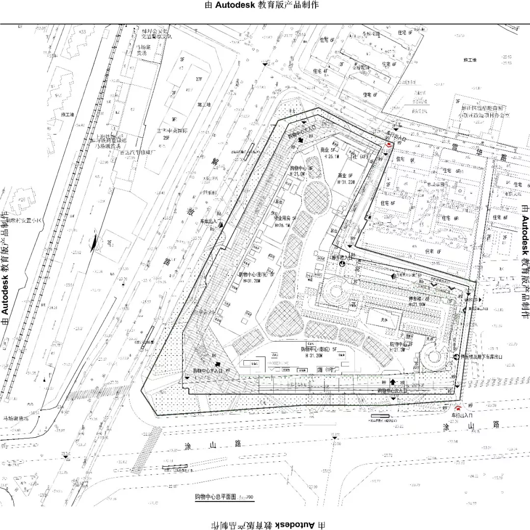
新城吾悦广场大商业规划总建筑面积8万方,地上四层(局部五层),地下2层,整体商业结构呈”V“字型,设置三个购入出入口,分别是解放路涂山路入口,解放路入口,涂山路入口,建成之后将成为蚌埠主城区有一座大型商业综合体,将引进星轶IMAX影院。
多奇妙儿童乐园,海洋馆等多种业态丰富蚌埠市民的生活,希望新城吾悦广场能为蚌埠带来更多的独有品牌入驻蚌埠,其永辉超市,优衣库,星巴克等时尚品牌和餐饮成为我们最为期待的,新城吾悦广场将定于2019年12月26日盛大开业!

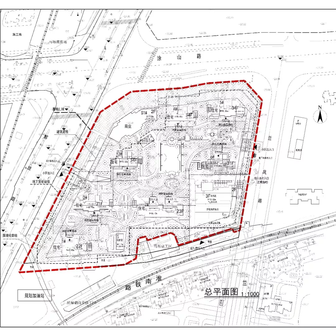
吾悦和府由一栋22层,一栋23层,两栋31层,三栋34层高层,以及一栋2层商业,一个幼儿园组成
项目绿化率40%,容积率2.5,总占地面积40453.86㎡,总建筑面积130920.33㎡,共规划804户
项目简介
蚌埠吾悦广场位于解放路与涂山路交汇处,东至兰凤路,西临解放路,南接迎湖路,北达雪华路,涂山路直贯东西。项目临近蚌埠铁路第三小学、蚌埠医学院第二附属医院、龙子湖风景区和安徽财经大学商学院等。项目总建筑面积约26万㎡,打造集美食餐饮、休闲娱乐、时尚购物等丰富多元业态为一体的一站式购物中心,用诚心缔造城市新地标,创造一城繁华新奇迹。
在构筑情怀商业的同时,蚌埠吾悦和府于综合体之上匠心巨筑臻稀800席国际都会新中式美宅,内部集聚健身与交流广场、全龄儿童活动场地、新中式园林、智能化体系等优质配套,打造蚌埠人居价值标杆。
文章来源:蚌埠微楼市
站内编辑:格子菲
文章审核:超引力
声明:本文由入驻焦点开放平台的作者撰写,除焦点官方账号外,观点仅代表作者本人,不代表焦点立场。
