云巴、医院、学校!蚌埠1-10月132个重点项目较新进展!
扫描到手机,新闻随时看
扫一扫,用手机看文章
更加方便分享给朋友

11月8日,蚌埠市公布1—10月132个重大项目较新进展情况;其中涉及到六中临港分校、蚌埠三院高新分院、中国传感谷、中科高新实验学校项目等;教育、学校相关
蚌山区
黄山学校项目
黄山学校项目建设内容和规模:用地面积约86.3亩,总建筑面积5.8万平方米,建设规模54个班总投资:16000万元项目进展情况:主体完工,配套设施施工;

禹会区
朝阳实验学校扩建项目
朝阳实验学校扩建项目建设内容和规模:总建筑面积约5.25万平方米,办学规模60个班,新建教学楼、综合楼、食堂、市内体育馆、运动场、地下室及相关配套附属设施;总投资:20000万元项目进展情况:主体装修基本完成;


(项目效果图)
禹会区
秀水实验学校项目
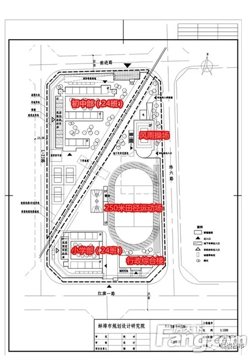
秀水实验学校建设内容和规模:占地面积约56.6亩总投资:19000项目进展情况:行政楼外墙保温附加层施工,水磨石地面施工,消防、预埋同步施工;小学部外墙粉刷完成,内墙粉刷至一层;初中部、地库主体施工;

蚌埠市秀水实验学校项目位于禹会区纬五路西,秀水实验学校总占地约56.7亩,总建筑面积2.8万平方米,规划新建24班小学部及24班初中部共计48个班级。投资概算1.5亿元。
禹会区
安徽财经大学商学院新校区三期
安徽财经大学商学院新校区三期项目建设内容和规模:规划用地约350亩,建筑总面积约26万平方米,主要建设内容包括教学楼、学生宿舍楼、食堂、实训楼、创业实践楼、研究生教学楼、教师公寓、学生公寓等;总投资:100000万元项目进展情况:已进场基础施工,施工围挡,临设已搭建完成;

淮上区
蚌埠城市轨道交通职业学校
蚌埠城市轨道交通职业学院项目建设内容和规模:学院一起规划建设用地约为334.3亩,建筑用地约19万平方米,满足7000学生的日常教学规模;总投资:120000万元项目进展情况:1#、2#实训楼已出地面,学生宿舍楼正在进行基础施工,学生活动中心、教师公寓、培训中心等正在进行桩基施工,图书馆、看台及体育中心正在桩基检测;


学校规划图

从规划图上看出,该校规划有6栋学生宿舍、以及教学楼、实训楼、培训中心、体育中心、学生活动中心、400米跑道运动场等相关设施;

(学校效果图)
高新区
中科院蚌埠高新实验学校
中科院蚌埠高新实验学校建设内容和规模:规划用地90亩,总建筑面积约5.1万平方米,主要建设教学及辅助用房,开设54个班级,其中:小学36个班,初中18个班;总投资:40000万元项目进展情况:已竣工;


(中科院蚌埠高新实验学校规划公示效果图)
经开区
六中临港分校
六中临港分校建设内容和规模:用地面积132.8亩,建筑面积5.4万平方米,建设规模96个教学楼,其中中学48班,小学48班;总投资:24000万元项目进展情况:部分工程款正在验收;

经开区
新城实验学校虎山分校
新城实验学校虎山分校建设内容和规模:规划用地46亩,总建筑面积3.2万平方米,建设小学48个班,初中24个班,综合楼,运动场、景观绿化、照明及附属设施等;总投资:40000万元项目进展情况:完成二层主体结构施工,正在进行三层主体结构施工;


(规划图)交通、医疗城建等项目
蚌山区
城南大健康产业园项目
城南大健康产业园项目建设内容和规模:项目结合医养一体化、建设医疗、康复、养生、养老、娱乐等医养结合配套设施。总投资:65000万元项目进展情况:1号、2号厂房主体施工,办公楼和药品仓库基础施工;

禹会区
液体火箭发动机项目
九州云箭液体火箭发动机项目建设内容和规模:用地面积约50亩,改造装配生产车间6000平米。总投资:50000万元项目进展情况:进行发动机过冷状态校准试车;

淮上区
奥莱小镇项目
奥莱小镇项目建设内容和规模:规划用地500亩,建设砂之船奥莱、儿童世界、国际美食城、国际影院等;总投资:400000万元项目进展情况:商业区部分单体正在进行室内外装饰装修阶段;住宅区部分单体二十层顶板浇筑完成;

高新区
蚌埠三院高新分院
蚌埠三院高新分院建设项目建设内容和规模:项目用地面积约120亩,总建筑面积约20万平方米,设计床位1200个;总投资:200000万元项目进展情况:项目土地已摘牌,主体正在设计招标完成,施工图设计正在开展;

市发改委
淮宿蚌铁路蚌埠段
淮宿蚌铁路蚌埠段建设内容和规模:线路自淮北北站引出,新建淮北南站,宿州西站、双堆集站、固镇南站,引入蚌埠南站京沪站场...总投资:194400万元项目进展情况:9月22日已发政府专项债

市发改委
合新铁路五河段项目
合新铁路五河段项目建设内容和规模:合新高铁线路北起江苏省新沂市,向南经过江苏省宿迁市,安徽省泗县、五河、明光、凤阳、定远终至安徽省合肥市;总投资:125300万元项目进展情况:9月22日已发政府专项债机场、云巴等重点工程
市重点工程中心
蚌埠民用机场及空港产业园
蚌埠民用机场及空港产业园建设内容和规模:建设一条2600米*45米跑道,11个C类机位的站坪,1.2万平方米航站楼,配套建设空管及生产生活设施;总投资:126000万元项目进展情况:1、机场项目可研报告获得国家发改委批准;2、机场勘察设计项目、场外供电10kv工程设计的债表文件正在挂网;3、机场项目总归市级规委会正在筹备中;4、临时用地复垦方案正在评审;


(图片来源于网络)期待蚌埠机场早日建成!
市发改委
蚌埠南站扩建项目
蚌埠南站扩建项目建设内容和规模:建设蚌埠南站东站房,按照不低于3万平方米的规模设计东站房方案,增设城际站场,建成后战场总规模不低于9台20线;总投资:300000万元项目进展情况:正在完善规划方案;(蚌埠南站东站房鸟瞰图)
市重点工程中心
蚌埠市云巴项目
蚌埠市云巴项目建设内容和规模:拟采用导轨式胶轮电车(云巴)制式建设,全长40公里,路线起自怀远客运站-怀远县经开区-淮上经开区,一期至淮上区万达广场26公里,二期至沫河口园区14公里;总投资:500000万元项目进展情况:项目建设方案已初步编制完成,目前正在履行重大行政决策程序;

经开区
中国传感谷
中国传感谷项目建设内容和规模:用地面积约100亩,总建筑面积约100万平方米,分为A/B/C/D四个区域,含上海(蚌埠)微电子科技园,主要建设研发办公楼、标准厂房、定制厂房、人才公寓及相关配套设施等;打造以硅基础材料为主导,集微电子半导体产业领域的研发,设计、制造、封装,测试于一体的“中国智能传感谷”总投资:200000万元项目进展情况:11栋单体全部封顶,正在进行外墙施工;示范先建设排名前列批15台套设备已完成采购招标,第二批5台套设备采购正在公开招标中;

声明:本文由入驻焦点开放平台的作者撰写,除焦点官方账号外,观点仅代表作者本人,不代表焦点立场。
