银泰南侧再添低密纯墅住宅!碧桂园半山云庭项目规划公示出炉
扫描到手机,新闻随时看
扫一扫,用手机看文章
更加方便分享给朋友
近日,蚌埠市自然资源和规划局公布了碧桂园半山云庭项目的规划图,一起来看下吧!

规划公示
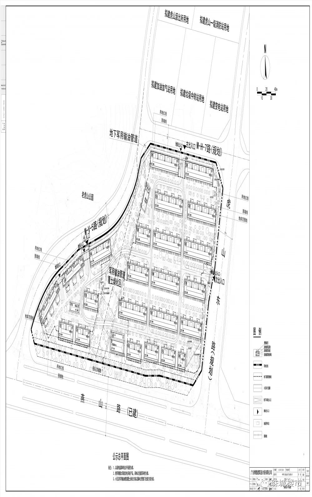
蚌埠市元跃房地产开发有限公司拟在蚌山区燕山路北侧、虎山东路西侧建设半山云庭项目。按照住房和城乡建设部《关于城乡规划公开公示的规定》的通知,现公示规划总平面图。

从规划图中可以看出,该项目共规划建设23栋住宅楼,且层高为3-5层;根据该地块的楼面价以及容积率来看,该项目未来主打的应该也是洋房以及叠墅方向!公示时间:2021年9月17日--2021年9月23日联系电话:0552-2155972(每天上午8:00至12:00,下午2:30至5:30) 联系地址:蚌埠市南湖路1008号皖北国土交易中心大厦1603室 蚌埠市自然资源和规划局2021年9月17日
碧桂园半山云庭天赋地脉,傲立蚌埠城南主城臻稀之地,以前瞻性发展远见,集萃城市繁盛资源,近邻蚌埠城南繁盛商圈,与繁华美好同频,坐拥东海大、解放路、燕山路等三纵三横多维立体交通路网,与城市资源共滋养,礼献每一程半山时光。

(项目交通图)地块回顾该地块是碧桂园在今年6月份以楼面价8707元/㎡摘得蚌挂(2021)24号地块,项目命名为碧桂园-半山云庭;
蚌挂(2021)24号

(地块位置大致卫星图)蚌挂(2021)24号地块位于蚌山区燕山路北侧、虎山东路西侧;规划用地为居住用地;出让年限为70年,出让面积77.382亩,容积率≤1.2,建筑密度≤35%,绿地率≥40%;起拍价29020万元,起始楼面价为4687.75元/㎡;蚌山区燕山路北侧地块位于燕山路北侧、虎山东路西侧,居住用地,出让面积82亩,容积率≤1.2。

(图片来源:土联社)
声明:本文由入驻焦点开放平台的作者撰写,除焦点官方账号外,观点仅代表作者本人,不代表焦点立场。
